FOTO Modificări în trafic, în municipiul Brașov

WhatsApp Image 2019-04-02 at 16.03.40
Comisia de Circulație și Urbanism a municipiului Brașov a avizat, astăzi, mai multe schimbări în traficul din oraș.
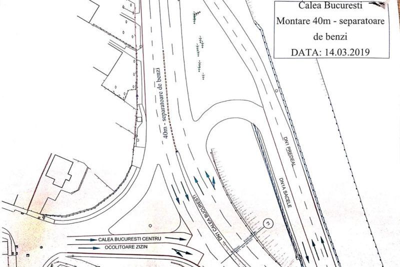
1. A fost avizată propunerea de introducere a sensului unic pe strada Lucernei, tronsonul cuprins intre strada Molnar Janos si strada Bobului, dinspre Molnar Janos spre Bobului. 2. În urma propunerii Poliției Rutiere, s-a avizat instalarea, pe o distanță de 40 de metri, a unor separatoare de sens, inainte de pasajul Darste (Politia a avut situatii cand, din neatentie, soferii au intrat pe contrasens).

3. La propunerea reprezentanților Poliției Rutiere, la trecerile de pietoni unde în ultima perioadă au fost incidente, a fost avizată instalarea de limitatoare de viteză. În perioada următoare, reprezentanții primăriei și cei ai poliției rutiere si ai poliției locale vor stabili trecerile de pietoni în cazul cărora soluția optimă este montarea acestor limitatoare.4. La propunerea Poliției Rutiere, reprezentanții primăriei, ai poliției rutiere și a celei locale vor face o analiză pe teren pentru introducerea sensului dublu pe str. Pavilioanele CFR, tronsonul cuprins între str. Bogdan Alexandru și str. Dacia.
Citește și:
- 15:43 - Papa Leon salută armistițiul din Iran: „Un semn de speranță”
- 15:40 - CNA a respins solicitarea de rediscutare privind retragerea licenței Realitatea PLUS - LIVE TEXT
- 14:59 - UEFA, decizie decizie de ultim moment după moartea lui Mircea Lucescu pentru meciurile din Champions League
- 14:47 - Urmărire ca-n filme în trafic, în Argeș: tânăr prins după 25 km, fără permis și băut
Mai multe articole despre
Urmărește știrile Realitatea de Brasov și pe Google News










